(902) 489-4763
Vacant Land

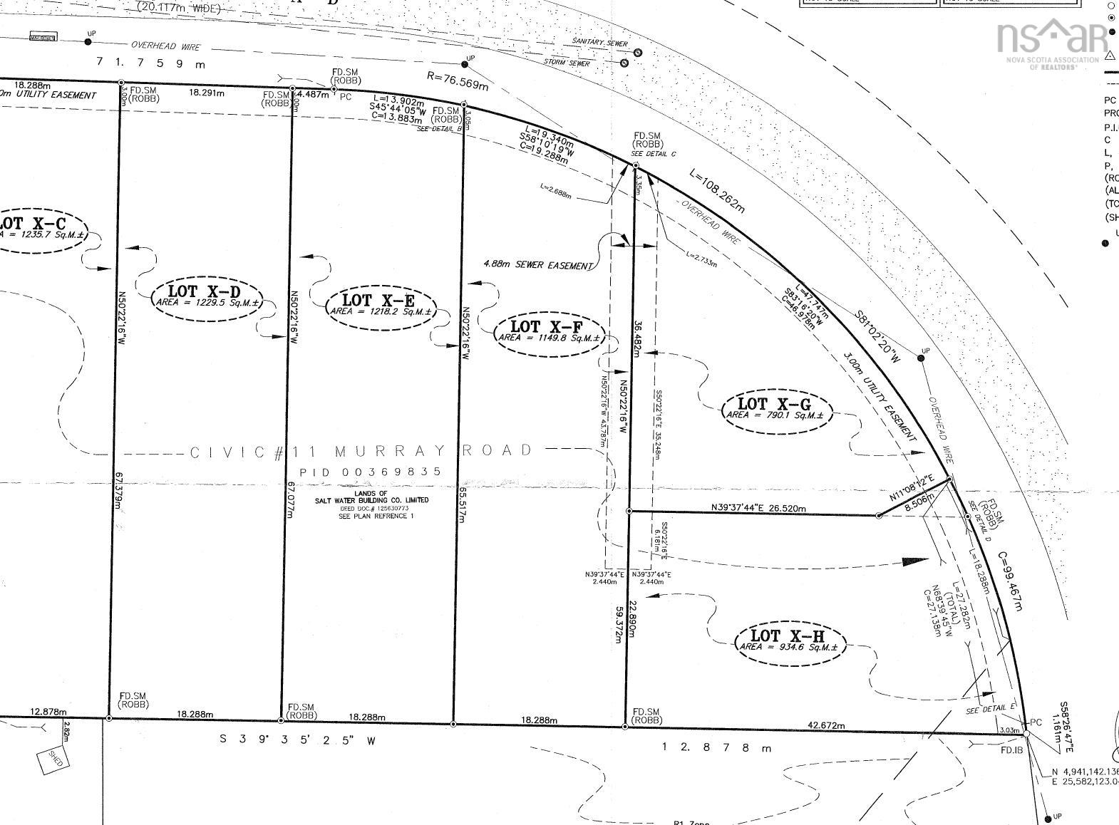
21 Murray Road, Eastern Passage, NS (MLS® 202608645).

21 Murray Road, Eastern Passage, NS (MLS® 202608645): Level, wooded building lot in the growing community of Eastern Passage. Located at 21 Murray Road (Lot X-H), this parcel offers approximately 10,060 square feet of land and is zoned R-1 with the ability to build up to a four-unit dwelling, making it a strong opportunity for investors or buyers looking to maximize income potential. Municipal water and sewer services are available via Murray Road, with access provisions through Lot 17, simplifying servicing for future development. The lot is well-positioned within a newly developed subdivision with direct frontage on Murray Road. Positioned near ongoing federal investment in the region, including submarine fleet development and naval infrastructure expansion, this location benefits from strong long-term growth potential and increasing housing demand, all while being just minutes from Dartmouth, schools, amenities, and waterfront access.

Directions
Caldwell to Murray Road.

Listing Courtesy of: Century 21 Optimum Realty

$224,900
MLS®
202608645
PID
41556515
List Price
$224,900
Type
Vacant Lot(s)
Sewer
None

Utilities

  • None

Schools.

TypeName
Elementary SchoolSeaside Elementary School
Middle SchoolEastern Passage Education Centre
High SchoolIsland View High School
Elementary School (Fr. Imm.)Seaside Elementary School
Middle School (Fr. Imm.)Eastern Passage Education Centre
High School (Fr. Imm.)Island View High School

contact the agent.

Candice Blaney
(902) 489-4763
cblaney@remaxnova.ca

Candice has been a licensed REALTOR® since 2009. Candice's knowledge allows her to offer superior guidance, advice and service through the delicate p…

Candice Blaney.

REALTOR ®
RE/MAX nova
(902) 489-4763
cblaney@remaxnova.ca