(902) 489-4763
Vacant Land

439 Beaverbank Road, Beaver Bank, NS (MLS® 202601901).

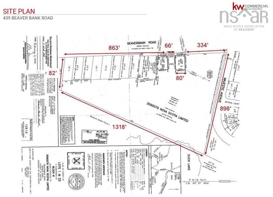
439 Beaverbank Road, Beaver Bank, NS (MLS® 202601901): Large Undeveloped municipally serviced lot on the Beaverbank Road and Majestic Avenue corner, 3.7 KM from the Sackville Dr & Beaverbank Rd Starbucks with 2.76 Acre corner Zoned C-4 Highway Commercial and zoned 9.59 Acres zoned MU- 1, ideally for residential development. Potential to Re-zone for high rise development, not as of right. MU-1 zone residential uses governed by R-6 Zone, and C-4 Zone allows all uses in C-2. 898frontage to Majestic Ave, and 400' of frontage(combined) to Beaverbank Road.

Directions
Take exit 2 from HWY 101 ,Beaverbank Road, # 439, corner of majestic

Listing Courtesy of: Keller Williams Select Realty (Branch)

$2,995,000
MLS®
202601901
PID
00468124
List Price
$2,995,000
Type
Acreage
Sewer
Municipal

Utilities

  • To Be Verified

Schools.

TypeName
Middle SchoolHarold T Barrett Junior High School
High SchoolLockview High School
Middle School (Fr. Imm.)Harold T Barrett Junior High School
High School (Fr. Imm.)Lockview High School

contact the agent.

Candice Blaney
(902) 489-4763
cblaney@remaxnova.ca

Candice has been a licensed REALTOR® since 2009. Candice's knowledge allows her to offer superior guidance, advice and service through the delicate p…

Candice Blaney.

REALTOR ®
RE/MAX nova
(902) 489-4763
cblaney@remaxnova.ca